Marine engineering, ship design

« Ports and floating structures



( ESZK-000-000 )

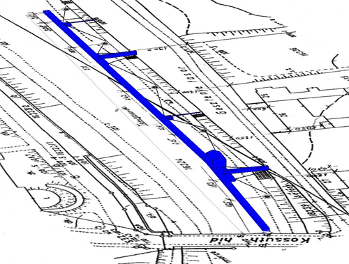
Port name:Nautica Port for Small Crafts

Project's details:

Project number:ESZK-000-000
Project name:Reconstructional documentations of U-10017-50 registry numbered Nautica port for small crafts and approval project documentation of the applied new 35, 40, 80 Nautica pontoons

Applied rules/registers:

Nautical Regulations 
Technical supervisory regulations for inland ships  
A belvízi utakon közlekedő úszólétesítmények hajózásra alkalmassága és megfelelősége feltételeiről, az úszóképesség vizsgálatáról és tanúsításáról szóló 13/2001. (IV.10.) KöViM rendelet. 

Main features:

Maximum length, Lmax1 [m]80 / 40 / 35
Maximum length with fender rail, Bmax [m]2
Depth, D [m]0,85
Lightship, delta0 [t]8,216/ 4,108/ 3,591
Lightship draugth Tk [m]0,135
Maximum pontoon/ship draugth, Th [m]0,28
Maximal passeger capacity, n [fő]80/ 40/ 35
Capacity of port, number of boats, ships, n [db] 18-20 of 12m ship, 20-25 of 8m ship, 30-35 of 6m ship, 50-60 of 4m ship
Boarding bridge parameters, effective width [m]0,88
Boarding bridge parameters, span of bridge [m]One with 13,2 m and one with 12 m span
Layout length LTK [m]179
Layout distance from the edge of the shore BTK [m]10-11
Shallow depth TG [m]0.6
Minimal operating waterlevel LÜVmin [mBf]102.2
Maximal operating waterlevel LÜVmax [mBf]106.2
Minimal emergency waterlevel LKHV [mBf]102.2
Maximal emergency waterlevel MÁSZ [mBf]108.5

Ship engineer tasks:

Technical description 
Drawings 
Pontoon design 
Subdivision and damage stability calculations 
Strength analysis 
Calculation of maximal number of crew and passengers